更新日:2017年2月1日

ここから本文です。

企画展「鹿児島の自然災害」

鹿児島で発生する自然災害の原因には,火山,台風,降雨,地震などさまざまなものがあります。これらの自然災害の原因に焦点をあて,詳しく解説します。また,これらの災害から身を守るために,普段からどのような対策をしておけばよいか,詳しく紹介します。

saigai

印刷用ポスター(JPG:1,656KB)

期間

平成28年10月1日(土曜日)~12月4日(日曜日)

休館日

  • 10月:3日(月曜日),4日(火曜日),11日(火曜日),17日(月曜日),24日(月曜日),31日(月曜日)
  • 11月:7日(月曜日),14日(月曜日),21日(月曜日),25日(金曜日),28日(月曜日)

会場

立博物館館1階画展示室

入館料

展示内容

地震・津波災害

1997年に発生した鹿児島県北西部地震や,今年4月に発生して今なお余震が続く熊本地震などの地震災害について解説します。

disaster1

disaster2

熊本地震で約2mずれた断層

亀裂の入った道路(熊本地震)

火山災害

鹿児島県は火山活動が活発な地域で,桜島をはじめとする多くの活火山があります。火山現象に伴う「火山泥流」や「火砕流」などの災害や,県内の火山について紹介します。

disaster3

disaster4

桜島の大正噴火

新燃岳の噴火(成尾英仁氏撮影)

風水害・土砂災害

鹿児島県は降水量が多く,集中豪雨が起こりやすい気象条件を備えており,これまで多くの人命が失われてきました。特に,近年は土砂災害などによる被害が非常に多く,その対策が重要な課題となっています。

himari

harihara

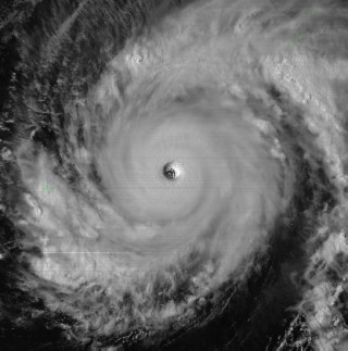
ひまわり8号の台風画像(気象庁ホームページから)

出水市針原地区の土石流(出水市提供)

防災

石碑や民話,地名などには,防災に対する先祖から私たちへのメッセージが込められています。いつ発生するかわからない災害に備えて,私たちができることを考えてみましょう。

taisyo

 

 

disaster8

櫻島爆發紀念碑(大正噴火)

出水市針原地区で起こった土石流災害の慰霊碑

 

関連行事

ミュージアムトーク(学芸主事による展示解説)

  • 期日:平成28年10月1日(土曜日),10月2日(日曜日),11月3日(木曜日)
  • 時間:各回14時から(約20分間)
  • 場所:県立博物館本館1階企画展示室
  • 申し込み:不要

 

実施要項(PDF:145KB)

このページに関するお問い合わせ

 鹿児島県立博物館

〒892-0853
鹿児島市城山町1番1号
Fax)099-223-6080
e-mail:kahaku1@pref.kagoshima.lg.jp

より良いウェブサイトにするためにみなさまのご意見をお聞かせください

このページの情報は役に立ちましたか?

このページの情報は見つけやすかったですか?

 

鹿児島教育ホットライン24 24時間いつでもあなたの相談を待っています。フリーダイヤル:0120-783-574